Vlasta Premier định nghĩa lại giá trị sống thượng lưu khi sở hữu vị trí chiến lược ngay tại mặt tiền đường Đào Trí, Phường Phú Thuận, Q7, TP HCM. Được đầu tư bởi Chủ đầu tư uy tín Văn Phú Invest, dự án kiến tạo một hệ sinh thái tiện ích đẳng cấp, hứa hẹn mang đến sự thịnh vượng và bình yên cho mọi gia chủ. Dựa trên báo cáo từ đơn vị phân phối chiến lược Lộc Phát Hưng cập nhật tháng 01/2026, các căn hộ tại đây có giá bán dự kiến từ 4,5 tỷ/căn 1PN (xấp xỉ 95tr/m²). Hiện nay, sàn giao dịch của chúng tôi đang trực tiếp triển khai giỏ hàng độc quyền giai đoạn 1 phục vụ nhu cầu khách hàng.

Phối cảnh tổng thể dự án căn hộ chung cư Vlasta Premier Đào Trí Quận 7
Phối cảnh tổng thể dự án căn hộ chung cư Vlasta Premier Đào Trí Quận 7

Hồ Sơ Quy Hoạch Và Thông Số Dự Án Vlasta Premier

Nhằm hỗ trợ quý đối tác và khách hàng có cái nhìn chuẩn xác nhất về nền tảng hạ tầng cũng như các yếu tố pháp lý then chốt, đội ngũ Lộc Phát Hưng đã hệ thống hóa các dữ liệu quan trọng nhất của Vlasta Premier Quận 7. Bảng dưới đây tóm lược toàn bộ quy mô và lộ trình phát triển của công trình giúp quý vị dễ dàng đánh giá tiềm năng đầu tư:

Phối cảnh tổng thể dự án căn hộ chung cư Vlasta Premier Đào Trí Quận 7
Phối cảnh tổng thể dự án căn hộ chung cư Vlasta Premier Đào Trí Quận 7

Bảng Tóm Lược Quy Mô Căn Hộ Vlasta Premier

Hạng mục triển khai Nội dung quy hoạch
Tên gọi pháp lý Khu chung cư thương mại và dịch vụ hỗn hợp New Tech
Tên thương mại Vlasta Premier
Vị trí địa lý Mặt tiền đường Đào Trí, Phường Phú Thuận, Quận 7, TP.HCM
Chủ quản phát triển Công ty Cổ phần Đầu tư Văn Phú – Invest (Tiếp quản qua M&A Quý 1/2025)
Tổng thầu thi công Công ty Cổ phần Xây dựng Central (Central Cons)
Giám sát công trình Công ty TNHH Apave Châu Á – Thái Bình Dương
Diện tích quỹ đất 9.016,5 m²
Mật độ xây dựng Khối đế: 47,1% – Khối tháp: 30,8%
Quy mô xây dựng 2 tháp căn hộ cao 35 tầng nổi và 2 tầng hầm đỗ xe
Cơ cấu sản phẩm 602 căn hộ cư dân & 136 căn TMDV
Loại hình căn hộ Căn hộ (1PN – 3PN), Shophouse chân đế, Penthouse cao cấp
Hồ sơ pháp lý GPXD số 17/GPXD ngày 15/05/2024, Phê duyệt 1/500
Dự kiến ra mắt Chính thức mở bán vào Quý 1/2026
Hình thức sở hữu Lâu dài (Người Việt Nam) – 50 năm (Người nước ngoài)
Phối cảnh tổng thể dự án căn hộ chung cư Vlasta Premier Đào Trí Quận 7
Phối cảnh tổng thể dự án căn hộ chung cư Vlasta Premier Đào Trí Quận 7

Mọi thông tin về Mua Bán + Cho Thuê + Ký Gửi Vlasta Premier vui lòng liên hệ: 0933.098.890

    Nhận Báo Giá và Khuyến Mãi chi tiết từ chủ đầu tư

    Dấu Ấn Chủ Đầu Tư Và Các Đơn Vị Phát Triển Vlasta Premier

    Trong hành trình kiến tạo những biểu tượng sống mới, uy tín của người dẫn dắt luôn là kim chỉ nam giúp khách hàng an tâm lựa chọn. Dự án Vlasta Premier tự hào được phát triển bởi Công ty Cổ phần Đầu tư Văn Phú – Invest — một nhà phát triển bất động sản chuyên nghiệp với tư duy khác biệt và tiềm lực tài chính vững mạnh. Với tâm huyết mang đến những giá trị sống thực cho cộng đồng, Văn Phú – Invest cùng đối tác chiến lược Lộc Phát Hưng cam kết kiến tạo nên một không gian sống đẳng cấp, bền vững và giàu tiềm năng gia tăng giá trị ngay tại khu vực Quận 7, giữa “rừng” các căn hộ chung cư Quận 7

    Logo chủ đầu tư Văn Phú - Invest dự án căn hộ chung cư Vlasta Premier Quận 7
    Logo chủ đầu tư Văn Phú – Invest dự án căn hộ chung cư Vlasta Premier Quận 7

    Văn Phú – Invest: Khẳng Định Tầm Vóc Nhà Phát Triển Đô Thị

    Với hơn hai thập kỷ kiên định với triết lý “Chuyên tâm tạo giá trị sống”, Văn Phú – Invest đã xác lập được vị thế vững chắc trên bản đồ địa ốc Việt Nam. Năng lực triển khai của tập đoàn không chỉ dựa trên quy mô quỹ đất mà còn được bảo chứng bởi các giải thưởng danh giá như: Top 10 Chủ đầu tư Bất động sản uy tín nhất năm 2025Top 10 nhà phát triển BĐS hàng đầu Việt Nam 2024. Những thành tựu này là minh chứng rõ nét cho sự chuyên nghiệp trong quản trị và cam kết cao nhất về tiến độ, chất lượng dành cho mỗi căn hộ tại Vlasta Premier Quận 7.

    Chủ đầu tư Văn Phú - Invest dự án căn hộ chung cư Vlasta Premier Quận 7
    Chủ đầu tư Văn Phú – Invest dự án căn hộ chung cư Vlasta Premier Quận 7

    Hệ Sinh Thái Dự Án Làm Nên Danh Tiếng Chủ Đầu Tư

    Sự tin tưởng của khách hàng đối với Văn Phú – Invest được xây dựng dựa trên danh mục các công trình biểu tượng đã đi vào vận hành thực tế:

    • Thảo Điền Green (Thủ Đức, TP.HCM): Tọa lạc tại “thủ phủ” thượng lưu Quận 2 cũ, dự án căn hộ hạng sang quy mô 204 sản phẩm này đã bàn giao thành công năm 2023, khẳng định tiêu chuẩn thi công và hoàn thiện nội thất vượt trội của chủ đầu tư tại thị trường phía Nam.
    Thảo Điền Green dự án căn hộ chung cư của chủ đầu tư Văn Phú Invest
    Thảo Điền Green dự án căn hộ chung cư của chủ đầu tư Văn Phú Invest
    • Vlasta – Sầm Sơn (Thanh Hóa): Khu đô thị biển nghỉ dưỡng quy mô lớn, thể hiện tầm nhìn trong việc quy hoạch hạ tầng du lịch và đánh thức tiềm năng những vùng đất giàu giá trị tự nhiên.
    • The Terra – An Hưng (Hà Nội): Tổ hợp đô thị hiện đại với 3 tháp cao 45 tầng, minh chứng cho kinh nghiệm quản lý vận hành các dự án cao tầng phức hợp có quy mô cư dân lớn.
    • Grandeur Palace – Giảng Võ (Hà Nội): Tuyệt tác kiến trúc trong phân khúc bất động sản hạng sang, nơi tôn vinh sự riêng tư và đẳng cấp của giới chủ nhân tinh hoa tại trung tâm thủ đô.

    Liên hệ Hotline để nhận thông tin ưu đãi mới nhất từ Chủ đầu tư: 0933.098.890

      Nhận Báo Giá và Khuyến Mãi chi tiết từ chủ đầu tư

      Tọa Độ “Kim Cương” Và Xung Lực Phát Triển Bứt Phá Của Vlasta Premier

      Vị thế của một bất động sản hạng sang luôn được định danh bởi giá trị của quỹ đất mà nó tọa lạc. Vlasta Premier tự hào chiếm lĩnh vị thế độc tôn ngay mặt tiền đường Đào Trí, Phường Phú Thuận, Quận 7 – trục đại lộ ven sông đắt giá nhất khu Nam Sài Gòn. Trong bối cảnh quỹ đất ven sông tại lõi đô thị ngày càng khan hiếm, Vlasta Premier không chỉ là biểu tượng của sự thịnh vượng với tầm nhìn khoáng đạt mà còn là “điểm đón” dòng chảy đầu tư mạnh mẽ nhờ sự chuyển mình ngoạn mục của hạ tầng giao thông khu vực.

      Vị trí dự án căn hộ chung cư Vlasta Premier Quận 7
      Vị trí dự án căn hộ chung cư Vlasta Premier Quận 7

      Tâm Điểm Kết Nối Toàn Diện – Một Bước Chạm Đa Tiện Ích

      Dự án có vị trí pháp lý chính xác tại Thửa đất 548, Tờ bản đồ số 85, đường Đào Trí, P. Phú Thuận, Quận 7, TP.HCM. Nhờ sở hữu mạng lưới liên kết vùng hoàn hảo, cư dân tại Vlasta Premier Quận 7 có thể dễ dàng làm chủ thời gian và tiếp cận nhanh chóng các tiện ích đẳng cấp quốc tế:

      Vị trí dự án căn hộ chung cư Vlasta Premier Quận 7
      Vị trí dự án căn hộ chung cư Vlasta Premier Quận 7
      • Chỉ 5 – 7 phút: Hiện diện ngay trung tâm tài chính Phú Mỹ Hưng, kết nối trực tiếp với hệ thống TTTM Crescent Mall, SC VivoCity, Trung tâm hội chợ SECC và các bệnh viện quốc tế hàng đầu (FV, Tâm Đức).
      • Khoảng 15 – 20 phút: Di chuyển thông suốt vào lõi trung tâm Quận 1 thông qua trục giao thông xương sống Huỳnh Tấn Phát và cầu Tân Thuận.
      • Liên kết vùng chiến lược: Dễ dàng kết nối về TP. Thủ Đức qua cầu Phú Mỹ hoặc sang trung tâm tài chính Thủ Thiêm chỉ trong tích tắc thông qua công trình cầu Thủ Thiêm 4 (dự kiến khởi công).

      Xung Lực Hạ Tầng – Đòn Bẩy Gia Tăng Giá Trị Vượt Bậc

      Tiềm năng tăng giá của Vlasta Premier được bảo chứng vững chắc bởi “bộ ba” xung lực hạ tầng mang tầm vóc quốc tế, hứa hẹn kiến tạo nên một chuẩn mực sống mới:

      Vị trí dự án căn hộ chung cư Vlasta Premier Quận 7
      Vị trí dự án căn hộ chung cư Vlasta Premier Quận 7
      • Nâng cấp cung đường ven sông Đào Trí lên 40m: Quy hoạch mở rộng lộ giới biến nơi đây thành đại lộ du lịch và thương mại sầm uất bậc nhất Quận 7, trực tiếp đẩy mạnh giá trị bất động sản toàn khu vực lên một tầm cao mới.
      • Cộng hưởng sức mạnh từ Siêu dự án Peninsula (6 tỷ USD): Nằm kế cận tổ hợp đô thị, giải trí và công viên sinh thái lớn nhất khu vực, Vlasta Premier được hưởng lợi trực tiếp từ hệ sinh thái dịch vụ đẳng cấp quốc tế và nhu cầu nhà ở cao cấp của giới thượng lưu.
      • Cầu Thủ Thiêm 4 – Nút giao vàng hạ tầng: Đây là công trình mang tính bước ngoặt, rút ngắn khoảng cách từ Quận 7 sang “Phố Wall” Thủ Thiêm xuống còn vài phút di chuyển, tạo lực đẩy khổng lồ cho giá trị căn hộ tại trục đường Đào Trí.

      Hotline tư vấn vị trí và tiềm năng đầu tư Vlasta Premier: 0933.098.890

        Nhận Báo Giá và Khuyến Mãi chi tiết từ chủ đầu tư

        Nâng Tầm Đẳng Cấp Sống Với Hệ Thống Tiện Ích Đỉnh Cao Tại Vlasta Premier

        Một không gian sống hạng sang thực thụ không chỉ được đo lường bằng kiến trúc mà còn nằm ở chiều sâu của hệ thống tiện ích đặc quyền. Tại Vlasta Premier, chủ đầu tư Văn Phú – Invest đã hiện thực hóa một không gian sống “All-in-one” đầy tinh tế, nơi mọi nhu cầu từ chăm sóc sức khỏe, vui chơi giải trí đến mua sắm đều được đáp ứng ngay trong lòng dự án. Với sự kết hợp hài hòa giữa nhịp sống hiện đại và các mảng xanh sinh thái, Vlasta Premier mang đến phong cách sống nghỉ dưỡng tầng không độc bản, kiến tạo nên mạch sống hưng thịnh cho cộng đồng cư dân tinh hoa tại Quận 7.

        Hệ thống tiện ích dự án căn hộ chung cư Vlasta Premier Quận 7
        Hệ thống tiện ích dự án căn hộ chung cư Vlasta Premier Quận 7

        Tiện Ích Nội Khu: Đặc Quyền Tận Hưởng Trong Lòng Phố Thị

        Được quy hoạch bài bản tại khối đế 5 tầng thương mại, hệ thống tiện ích nội khu tại Vlasta Premier Quận 7 mang đến những trải nghiệm hưởng thụ tối ưu cho cư dân chỉ trong vài bước chân:

        • Hồ bơi vô cực Skyview: Tọa lạc tại tầng 5, đây là ốc đảo thư giãn tuyệt mỹ nơi cư dân có thể đắm mình trong làn nước mát và thu trọn tầm nhìn Panorama đắt giá về phía sông Sài Gòn thơ mộng.
        • Phòng Gym & Yoga cao cấp: Không gian tập luyện chuyên nghiệp với hệ thống máy móc hiện đại, giúp cư dân tái tạo năng lượng và duy trì phong độ mỗi ngày.
        Phòng gym hiện đại dự án căn hộ chung cư Vlasta Premier Quận 7
        Phòng gym hiện đại dự án căn hộ chung cư Vlasta Premier Quận 7
        Phòng gym hiện đại dự án căn hộ chung cư Vlasta Premier Quận 7
        Phòng gym hiện đại dự án căn hộ chung cư Vlasta Premier Quận 7
        Phòng yoga thiền dự án căn hộ chung cư Vlasta Premier Quận 7
        Phòng yoga thiền dự án căn hộ chung cư Vlasta Premier Quận 7
        Phòng yoga thiền dự án căn hộ chung cư Vlasta Premier Quận 7
        Phòng yoga thiền dự án căn hộ chung cư Vlasta Premier Quận 7
        • Sky Garden & Khu BBQ: “Lá phổi xanh” yên bình giữa lòng tòa nhà, nơi tổ chức những buổi tiệc ngoài trời sang trọng hay những khoảnh khắc gắn kết gia đình giữa thiên nhiên.
        • Hệ thống Shophouse thương mại: Quy tụ chuỗi cửa hàng tiện lợi, cafe sành điệu và các thương hiệu ẩm thực danh tiếng, mang lại sự tiện nghi tối đa ngay thềm nhà.
        Phối cảnh Shophouse khối đế dự án căn hộ chung cư Vlasta Premier Quận 7
        Phối cảnh Shophouse khối đế dự án căn hộ chung cư Vlasta Premier Quận 7
        Phối cảnh Shophouse khối đế dự án căn hộ chung cư Vlasta Premier Quận 7
        Phối cảnh Shophouse khối đế dự án căn hộ chung cư Vlasta Premier Quận 7
        • Nhà trẻ và Khu vui chơi trẻ em: Không gian giáo dục an toàn và sáng tạo, nơi các cư dân nhí được phát triển toàn diện trong môi trường chất lượng cao.
        Khu vui chơi trẻ em ngoài trời dự án căn hộ chung cư Vlasta Premier Quận 7
        Khu vui chơi trẻ em ngoài trời dự án căn hộ chung cư Vlasta Premier Quận 7
        Khu vui chơi trẻ em ngoài trời dự án căn hộ chung cư Vlasta Premier Quận 7
        Khu vui chơi trẻ em ngoài trời dự án căn hộ chung cư Vlasta Premier Quận 7
        • An ninh thông minh đa lớp: Bảo chứng cho sự an toàn và riêng tư tuyệt đối với hệ thống camera giám sát hiện đại cùng đội ngũ bảo vệ trực 24/7.
        Không gian làm việc Co-working Space dự án căn hộ chung cư Vlasta Premier Quận 7
        Không gian làm việc Co-working Space dự án căn hộ chung cư Vlasta Premier Quận 7

        Tiện Ích Ngoại Khu: Tâm Điểm Kết Nối Tiện Nghi Quốc Tế

        Nhờ tọa lạc tại “tọa độ vàng” của khu Nam Sài Gòn, cư dân Vlasta Premier nghiễm nhiên làm chủ toàn bộ hệ sinh thái dịch vụ cao cấp nhất thành phố chỉ với 5-10 phút di chuyển:

        • Thiên đường mua sắm quốc tế: Tiếp cận nhanh chóng các trung tâm thương mại lừng danh như Crescent Mall, SC VivoCity, Lotte Mart Quận 7 và đại siêu thị GO! Nguyễn Thị Thập.
        Lotte Mart Quận 7 Tiện ích Liền Kề Dự án Vlasta Premier Quận 7
        Lotte Mart Quận 7 Tiện ích Liền Kề Dự án Vlasta Premier Quận 7
        Siêu thị GO! Nguyễn Thị Thập Quận 7, tiện ích gần căn hộ Vlasta Premier Quận 7
        Siêu thị GO! Nguyễn Thị Thập Quận 7, tiện ích gần căn hộ Vlasta Premier Quận 7
        Tiện ích ngoại khu SC VivoCity Quận 7, liền kề dự án Vlasta Premier Quận 7
        Tiện ích ngoại khu SC VivoCity Quận 7, liền kề dự án Vlasta Premier Quận 7
        • Hệ thống y tế chuẩn quốc tế: An tâm tuyệt đối về sức khỏe với sự hiện diện của Bệnh viện FV, Bệnh viện Tim Tâm Đức và Bệnh viện Quốc tế Tâm Anh.
        Bệnh viện Quốc tế Tâm Anh gần dự án Vlasta Premier Quận 7
        Bệnh viện Quốc tế Tâm Anh gần dự án Vlasta Premier Quận 7
        • Môi trường giáo dục tinh hoa: Liền kề các ngôi trường danh giá hàng đầu như Đại học RMIT, ĐH Tôn Đức Thắng, UEH cùng hệ thống trường quốc tế Canada, Nhật Bản, Hàn Quốc, SSIS…
        Tiện ích giáo dục quốc tế: Đại học RMIT Việt Nam gần căn hộ Vlasta Premier Quận 7
        Tiện ích giáo dục quốc tế: Đại học RMIT Việt Nam gần căn hộ Vlasta Premier Quận 7
        Đại học Kinh tế TP.HCM (UEH) gần dự án Vlasta Premier Quận 7
        Đại học Kinh tế TP.HCM (UEH) gần dự án Vlasta Premier Quận 7
        • Trung tâm Tài chính Phú Mỹ Hưng: Kết nối dễ dàng đến các cao ốc văn phòng hạng A và trụ sở của các tập đoàn đa quốc gia lớn trong khu vực.
        Trung tâm tài chính Phú Mỹ Hưng gần dự án Vlasta Premier Quận 7
        Trung tâm tài chính Phú Mỹ Hưng gần dự án Vlasta Premier Quận 7

        Hotline tư vấn và cập nhật chính sách Vlasta Premier mới nhất: 0933.098.890

          Nhận Báo Giá và Khuyến Mãi chi tiết từ chủ đầu tư

          Mặt Bằng Vlasta Premier: Vũ Điệu Không Gian Và Ngôn Ngữ Kiến Trúc Đỉnh Cao

          Tại Vlasta Premier, mỗi bản vẽ mặt bằng không chỉ là những con số kỹ thuật khô khan mà là tâm huyết kiến tạo nên một không gian sống “biết thở”. Chủ đầu tư Văn Phú – Invest đã áp dụng tư duy thiết kế hiện đại, xóa bỏ những rào cản giữa con người và thiên nhiên để tạo nên một hệ sinh thái an cư hoàn hảo. Sự phân bổ thông minh giữa các khu vực chức năng không chỉ tối ưu hóa công năng sử dụng mà còn giúp mọi căn hộ Vlasta Premier sở hữu tầm nhìn đắt giá, đón trọn năng lượng tươi mới từ dòng sông Sài Gòn ngay trung tâm Quận 7.

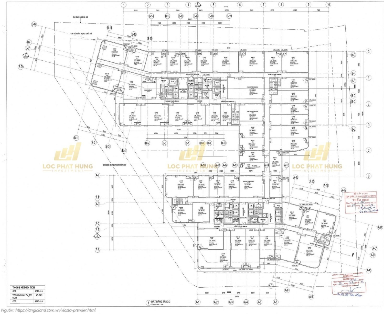
          Mặt bằng tầng 3 căn hộ chung cư Vlasta Premier Quận 7
          Mặt bằng tầng 3 căn hộ chung cư Vlasta Premier Quận 7

          Quy Hoạch Mặt Bằng Tổng Thể: Bản Giao Hưởng Đa Tầng Tiện Nghi

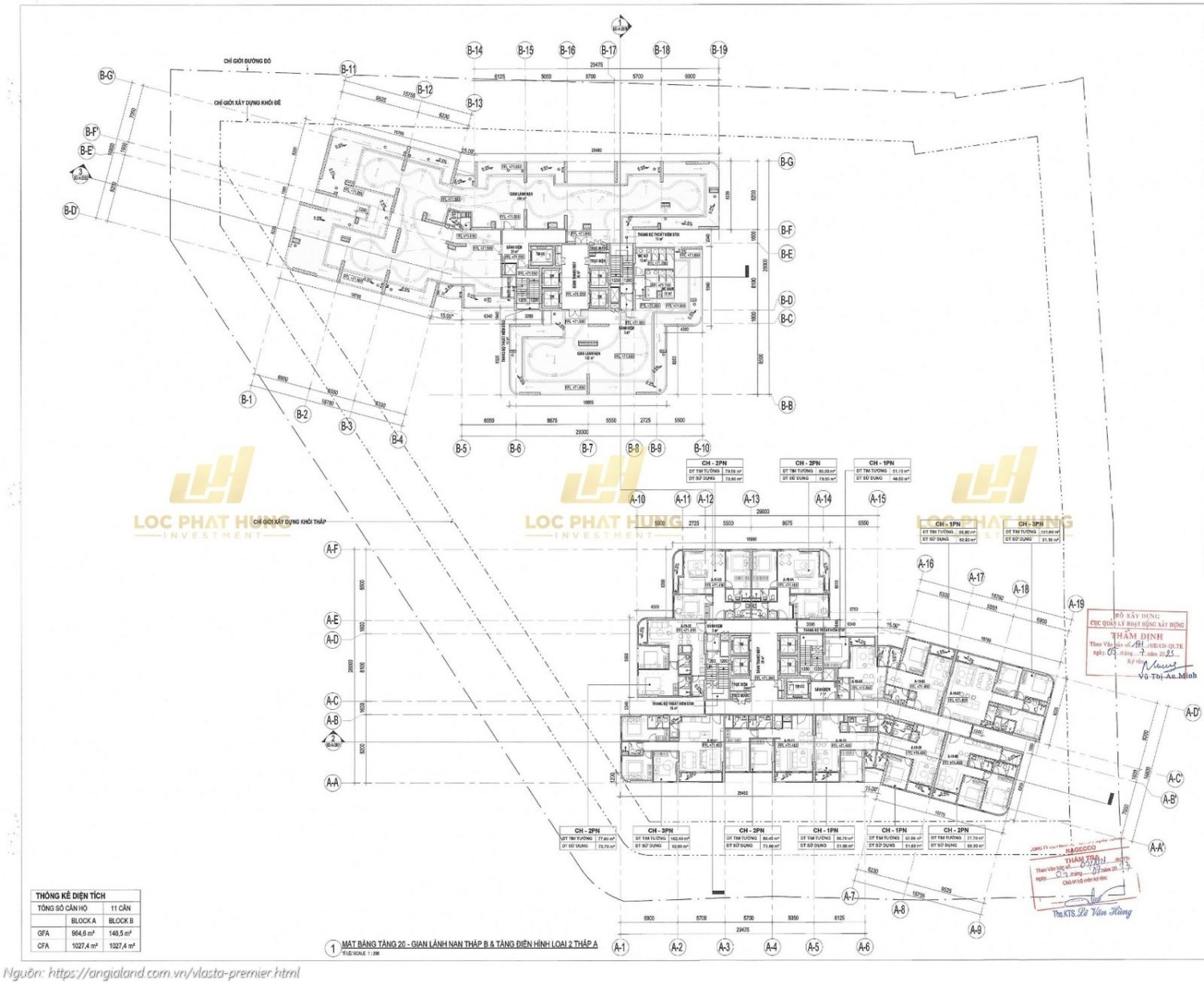
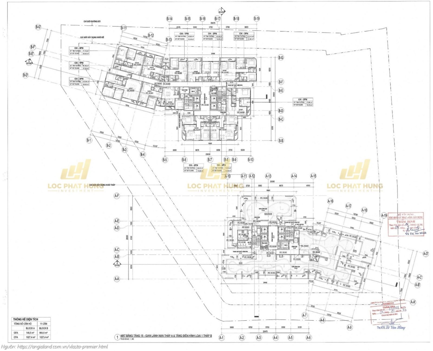
          Mặt bằng gian lánh nạn tầng 15 căn hộ chung cư Vlasta Premier Quận 7
          Mặt bằng gian lánh nạn tầng 15 căn hộ chung cư Vlasta Premier Quận 7

          Trên quỹ đất vàng rộng 9.016,5 m², mặt bằng dự án Vlasta Premier Quận 7 được phát triển với cấu trúc 2 tòa tháp uy nghi cao 35 tầng, phân lớp chức năng mạch lạc nhằm mang lại sự tiện nghi cao nhất:

          • Tầng hầm (Hầm 1-2): Không gian đỗ xe thông minh với hệ thống hạ tầng kỹ thuật đồng bộ, đảm bảo lưu thông an toàn và đáp ứng đầy đủ nhu cầu cho phương tiện của toàn bộ cư dân.
          Mặt bằng gian lánh nạn tầng 20 tháp B căn hộ chung cư Vlasta Premier Quận 7
          Mặt bằng gian lánh nạn tầng 20 tháp B căn hộ chung cư Vlasta Premier Quận 7
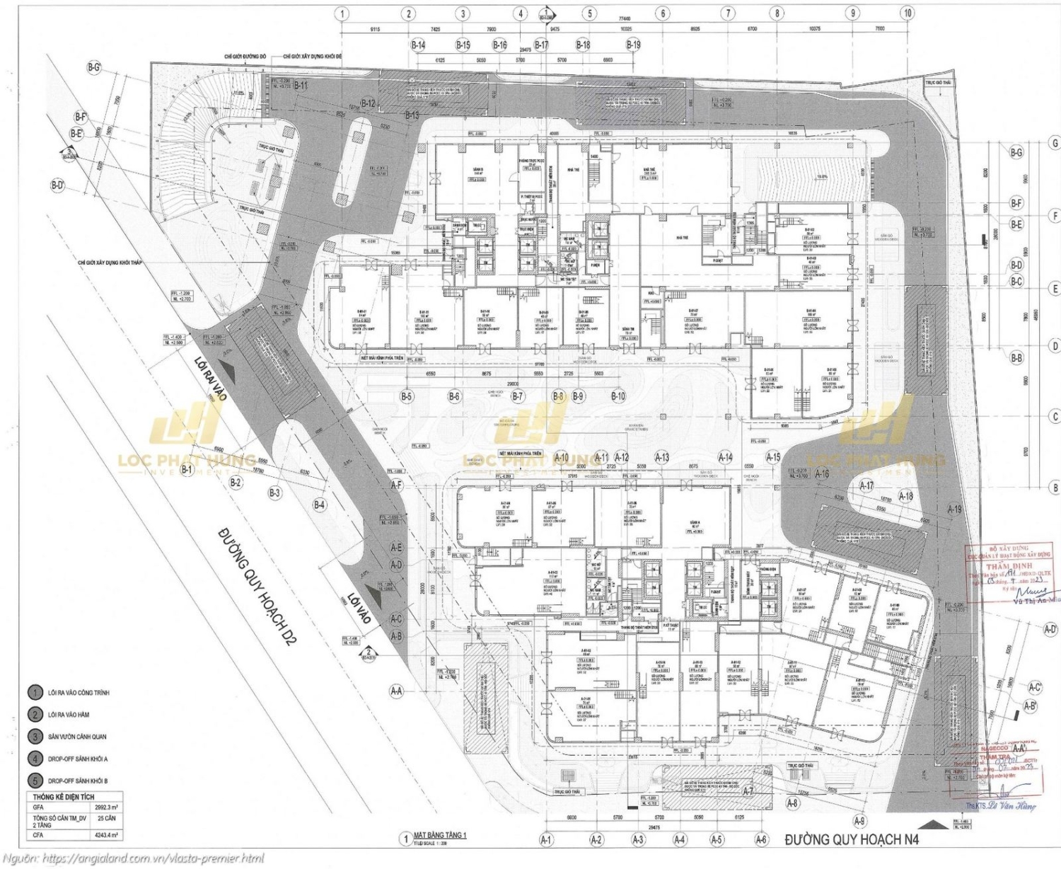
          • Khối đế đa năng (Tầng 1-5): Trái tim sầm uất của dự án. Tầng 1 và 2 là khu vực sảnh đón sang trọng, nhà trẻ quốc tế và chuỗi 25 căn Shophouse cao cấp. Tầng 3 đến tầng 5 quy hoạch 111 gian thương mại dịch vụ cùng hệ thống tiện ích đặc quyền như hồ bơi vô cực, phòng Gym, khu BBQ và vườn thượng uyển.
          • Phân khu căn hộ điển hình (Tầng 6-33): Bố trí các loại hình căn hộ từ 1 đến 3 phòng ngủ với mật độ xây dựng lý tưởng. Thiết kế hành lang mở giúp tận dụng tối đa gió đối lưu, mang lại sự thông thoáng tuyệt đối cho toàn bộ mặt bằng tầng.
          Mặt bằng Shophouse khối đế dự án căn hộ chung cư Vlasta Premier Quận 7
          Mặt bằng Shophouse khối đế dự án căn hộ chung cư Vlasta Premier Quận 7
          • Tầng Penthouse đẳng cấp (Tầng 34-35): Những căn “biệt thự trên không” thông tầng, nơi khẳng định vị thế chủ nhân với tầm nhìn Panorama ôm trọn vẻ đẹp lung linh của thành phố.
          Mặt bằng tầng 1 căn hộ chung cư Vlasta Premier Quận 7
          Mặt bằng tầng 1 căn hộ chung cư Vlasta Premier Quận 7

          Thiết Kế Căn Hộ: Sự Giao Thoa Giữa Nghệ Thuật Và Công Năng

          Mọi bản vẽ thiết kế tại Vlasta Premier đều hướng đến việc tạo ra một tổ ấm ngập tràn ánh sáng và cảm hứng sống:

          • Layout Căn hộ 1PN (48.45m² – 57.4m²): Giải pháp không gian sống thông minh dành cho giới trẻ thành đạt. Kiến trúc mở giúp căn hộ luôn ngập tràn ánh sáng, tối ưu hóa công năng trong từng mét vuông diện tích thực tế.
          Thiết kế chi tiết căn hộ số 01 (1 phòng ngủ) diện tích 55.06 m2 dự án Vlasta Premier Quận 7
          Thiết kế chi tiết căn hộ số 01 (1 phòng ngủ) diện tích 55.06 m2 dự án Vlasta Premier Quận 7
          • Layout Căn hộ 2PN (64.3m² – 84m²): Loại hình căn hộ chủ đạo với layout vuông vức, bố trí 2 phòng ngủ và 2 WC khoa học. Ban công rộng và logia tách biệt giúp tổ ấm của các gia đình trẻ luôn thông thoáng và ngập tràn sinh khí.
          Thiết kế chi tiết căn hộ số 09 (2 phòng ngủ) diện tích 83.98 m2 dự án Vlasta Premier Quận 7
          Thiết kế chi tiết căn hộ số 09 (2 phòng ngủ) diện tích 83.98 m2 dự án Vlasta Premier Quận 7
          • Layout Căn hộ 3PN (93.95m² – 103.8m²): Lựa chọn hoàn hảo cho gia đình đa thế hệ. Sở hữu vị trí căn góc với 2 mặt thoáng, tất cả các phòng ngủ đều có cửa sổ lớn đón gió và ánh sáng tự nhiên, kiến tạo nên môi trường sống thịnh vượng.
          Thiết kế chi tiết căn hộ số 05 (3 phòng ngủ) diện tích 109.09 m2 dự án Vlasta Premier Quận 7
          Thiết kế chi tiết căn hộ số 05 (3 phòng ngủ) diện tích 109.09 m2 dự án Vlasta Premier Quận 7
          Thiết kế chi tiết căn hộ số 03 (3 phòng ngủ) diện tích 126.7 m2 dự án Vlasta Premier Quận 7
          Thiết kế chi tiết căn hộ số 03 (3 phòng ngủ) diện tích 126.7 m2 dự án Vlasta Premier Quận 7

          Hotline hỗ trợ tư vấn và cập nhật thông tin Mặt bằng Vlasta Premier: 0933.098.890

            Nhận Báo Giá và Khuyến Mãi chi tiết từ chủ đầu tư

            Trực Giác Không Gian Và Trải Nghiệm Thực Tế Tại Nhà Mẫu Vlasta Premier

            Việc ra mắt khu nhà mẫu là lời khẳng định mạnh mẽ nhất về tiến độ và tâm huyết mà chủ đầu tư Văn Phú – Invest dành cho dự án Vlasta Premier. Không gian nhà mẫu được thiết kế nhằm mang lại cho khách hàng cái nhìn trực diện về chất lượng bàn giao, từ sự tinh xảo trong thi công đến tính thẩm mỹ của các vật liệu nội thất cao cấp. Đây là nơi khách hàng có thể cảm nhận trọn vẹn “luồng sinh khí” của căn hộ tương lai, nơi mỗi chi tiết đều được tính toán để tối ưu hóa trải nghiệm sống thượng lưu tại trung tâm Quận 7.

            Nhà mẫu căn hộ 2 phòng ngủ diện tích 75m2 dự án căn hộ chung cư Vlasta Premier Quận 7
            Nhà mẫu căn hộ 2 phòng ngủ diện tích 75m2 dự án căn hộ chung cư Vlasta Premier Quận 7

            Căn Hộ Mẫu 1PN (55 m²) – Đỉnh Cao Của Giải Pháp Sống Đa Năng

            Nhà mẫu căn hộ 2 phòng ngủ diện tích 75m2 dự án căn hộ chung cư Vlasta Premier Quận 7
            Nhà mẫu căn hộ 2 phòng ngủ diện tích 75m2 dự án căn hộ chung cư Vlasta Premier Quận 7

            Căn hộ mẫu 1 phòng ngủ tại Vlasta Premier được ví như một bản tuyên ngôn về phong cách sống hiện đại, tối giản nhưng vô cùng tiện nghi:

            • Kiến trúc thông minh: Với diện tích 55 m², căn hộ được thiết kế tối ưu hóa diện tích thực tế. Sự kết nối liền mạch giữa các khu vực chức năng giúp không gian luôn ngập tràn ánh sáng và gió trời tự nhiên.
            Nhà mẫu căn hộ 2 phòng ngủ diện tích 75m2 dự án căn hộ chung cư Vlasta Premier Quận 7
            Nhà mẫu căn hộ 2 phòng ngủ diện tích 75m2 dự án căn hộ chung cư Vlasta Premier Quận 7
            • Vật liệu tinh tuyển: Khách hàng có thể trực tiếp kiểm chứng tiêu chuẩn bàn giao thực tế với các trang thiết bị từ những thương hiệu quốc tế uy tín, đảm bảo sự bền bỉ và vẻ đẹp sang trọng cho tổ ấm.
            • Tiềm năng vượt trội: Đây là dòng sản phẩm đặc thù phù hợp với giới chuyên gia thành đạt hoặc các nhà đầu tư đang tìm kiếm tài sản có khả năng khai thác cho thuê với hiệu suất sinh lời cao tại Nam Sài Gòn.

            Hotline hỗ trợ tư vấn bảng giá chi tiết và cập nhật tiến độ thực tế dự án: 0933.098.890

              Nhận Báo Giá và Khuyến Mãi chi tiết từ chủ đầu tư

              Pháp Lý Vlasta Premier – Nền Tảng Thực Thi Và Cam Kết Vững Chắc

              Trong bối cảnh thị trường bất động sản đòi hỏi sự minh bạch tuyệt đối, pháp lý Vlasta Premier tự hào là một trong những dự án sở hữu hành lang pháp lý hoàn chỉnh nhất hiện nay. Sự hoàn thiện về hồ sơ pháp quy không chỉ là “tấm khiên” bảo vệ quyền lợi hợp pháp cho cư dân mà còn là minh chứng cho năng lực thực thi và uy tín của Văn Phú – Invest. Tại Vlasta Premier Quận 7, mọi bước triển khai đều tuân thủ nghiêm ngặt các quy định hiện hành, tạo dựng niềm tin an tâm tuyệt đối cho khách hàng.

              Danh mục hồ sơ pháp lý dự án căn hộ chung cư Vlasta Premier Quận 7
              Danh mục hồ sơ pháp lý dự án căn hộ chung cư Vlasta Premier Quận 7

              Quyền Sử Dụng Đất Hợp Pháp – Giá Trị Cốt Lõi Của Dự Án

              Dự án được xây dựng trên quỹ đất sạch, đã hoàn tất nghĩa vụ tài chính và sở hữu các Giấy chứng nhận quyền sử dụng đất (Sổ đỏ) đầy đủ, minh chứng cho tính sở hữu hợp pháp lâu dài:

              Giấy chứng nhận quyền sử dụng đất dự án căn hộ chung cư Vlasta Premier Quận 7
              Giấy chứng nhận quyền sử dụng đất dự án căn hộ chung cư Vlasta Premier Quận 7
              Giấy chứng nhận quyền sử dụng đất dự án căn hộ chung cư Vlasta Premier Quận 7
              Giấy chứng nhận quyền sử dụng đất dự án căn hộ chung cư Vlasta Premier Quận 7
              • Giấy chứng nhận số BB 820391: Được UBND TP.HCM cấp ngày 27/12/2010.
              • Giấy chứng nhận số CH 04354: Được Sở Tài nguyên và Môi trường TP.HCM phê duyệt ngày 28/07/2015.

              Giấy Phép Xây Dựng Số 17/GPXD – Sự Khẳng Định Về Tính Pháp Lý Thi Công

              Dự án Vlasta Premier đã chính thức sở hữu Giấy phép xây dựng số 17/GPXD ban hành ngày 15/05/2024 bởi Sở Xây dựng TP.HCM. Văn bản này cấp phép cho chủ đầu tư thi công phần thân bao gồm 2 tầng hầm và 35 tầng nổi. Đây là mốc pháp lý then chốt, khẳng định dự án đủ điều kiện hình thành nhà ở trong tương lai và bảo vệ quyền sở hữu của khách hàng.

              Giấy phép xây dựng số 17/GPXD dự án căn hộ chung cư Vlasta Premier Quận 7
              Giấy phép xây dựng số 17/GPXD dự án căn hộ chung cư Vlasta Premier Quận 7
              Giấy phép xây dựng số 17/GPXD dự án căn hộ chung cư Vlasta Premier Quận 7
              Giấy phép xây dựng số 17/GPXD dự án căn hộ chung cư Vlasta Premier Quận 7
              Giấy phép xây dựng số 17/GPXD dự án căn hộ chung cư Vlasta Premier Quận 7
              Giấy phép xây dựng số 17/GPXD dự án căn hộ chung cư Vlasta Premier Quận 7

              Quy Hoạch Đồng Bộ Và Thẩm Duyệt An Toàn Sinh Mạng

              Bên cạnh đó, dự án còn hoàn thiện trọn bộ các tiêu chuẩn khắt khe về hạ tầng kỹ thuật và an toàn:

              • Quyết định 6493/QĐ-UBND: Phê duyệt đồ án quy hoạch chi tiết 1/2000, đảm bảo sự phát triển đồng bộ của dự án với khu dân cư Phú Thuận.
              Điều chỉnh quy hoạch 1/2000 dự án căn hộ chung cư Vlasta Premier Quận 7
              Điều chỉnh quy hoạch 1/2000 dự án căn hộ chung cư Vlasta Premier Quận 7
              Điều chỉnh quy hoạch 1/2000 dự án căn hộ chung cư Vlasta Premier Quận 7
              Điều chỉnh quy hoạch 1/2000 dự án căn hộ chung cư Vlasta Premier Quận 7
              Điều chỉnh quy hoạch 1/2000 dự án căn hộ chung cư Vlasta Premier Quận 7
              Điều chỉnh quy hoạch 1/2000 dự án căn hộ chung cư Vlasta Premier Quận 7
              • Quyết định 5038/QĐ-UBND: Chấp thuận chủ trương đầu tư và công nhận tư cách chủ đầu tư hợp pháp của dự án.
              Văn bản chấp thuận chủ trương đầu tư dự án căn hộ chung cư Vlasta Premier Quận 7
              Văn bản chấp thuận chủ trương đầu tư dự án căn hộ chung cư Vlasta Premier Quận 7
              Văn bản chấp thuận chủ trương đầu tư dự án căn hộ chung cư Vlasta Premier Quận 7
              Văn bản chấp thuận chủ trương đầu tư dự án căn hộ chung cư Vlasta Premier Quận 7
              • Chứng nhận PCCC: Giấy thẩm duyệt thiết kế số 23/TD-PCCC ngày 15/01/2024, đặc biệt với các gian lánh nạn chuyên biệt tại tầng 15 và 20, cam kết một môi trường sống an toàn tối đa.
              Giấy chứng nhận thẩm duyệt thiết kế phòng cháy chữa cháy dự án Vlasta Premier Quận 7
              Giấy chứng nhận thẩm duyệt thiết kế phòng cháy chữa cháy dự án Vlasta Premier Quận 7

              Hotline hỗ trợ tư vấn pháp lý và đăng ký lịch tham quan nhà mẫu Vlasta Premier: 0933.098.890

                Nhận Báo Giá và Khuyến Mãi chi tiết từ chủ đầu tư

                Cập Nhật Bảng Giá Vlasta Premier & Chính Sách Tài Chính Năm 2026

                Sở hữu vị thế độc tôn trên “cung đường tỷ đô” Đào Trí, giá bán Vlasta Premier phản ánh đúng giá trị độc bản của một bất động sản hạng sang. Với mức giá dự kiến khởi điểm từ 95 triệu/m², đây được xem là cơ hội đầu tư tích sản hấp dẫn nhất tại khu vực Quận 7 trong bối cảnh quỹ đất ven sông ngày càng khan hiếm.

                Ước Tính Bảng Giá Theo Loại Hình Căn Hộ (Tháng 01/2026)

                Sản phẩm căn hộ Diện tích (m²) Giá dự kiến (Tỷ đồng)
                Căn hộ 1 Phòng ngủ 48m² – 57m² 4.5 – 5.4 tỷ
                Căn hộ 2 Phòng ngủ 64m² – 84m² 6.0 – 7.9 tỷ
                Căn hộ 3 Phòng ngủ 93m² – 103m² 8.8 – 9.8 tỷ
                Shophouse & Penthouse Trên 127m² Vui lòng liên hệ

                *Lưu ý: Đơn giá và tổng giá trên mang tính chất dự kiến tại giai đoạn công bố thông tin. Giá chính thức sẽ được điều chỉnh tùy theo vị trí tầng, hướng ban công và chính sách chiết khấu tại ngày mở bán.

                Giải Pháp Sở Hữu Căn Hộ Với Chính Sách Linh Hoạt

                Nhằm hỗ trợ tối ưu cho khách hàng, Văn Phú – Invest dự kiến áp dụng những lộ trình thanh toán linh hoạt cùng các gói hỗ trợ đặc quyền:

                • Đòn bẩy tài chính ưu việt: Hỗ trợ lãi suất 0% và ân hạn nợ gốc kéo dài lên đến 24 tháng, giúp khách hàng giảm tối đa áp lực tài chính trước khi nhận nhà.
                • Chiết khấu thanh toán sớm: Mức chiết khấu hấp dẫn dành cho khách hàng có nguồn vốn dồi dào muốn tối ưu hóa giá trị tài sản mua.
                • Quà tặng đặc biệt: Các gói trang thiết bị nội thất hạng sang hoặc voucher Smarthome cao cấp dành cho những chủ nhân đầu tiên.

                Xem bản đồ vị trí và các kết nối tiện ích xung quanh dự án Vlasta Premier: Căn hộ Vlasta Premier Quận 7

                Hotline hỗ trợ tư vấn bảng giá chi tiết và cập nhật tiến độ thực tế dự án: 0933.098.890

                  Nhận Báo Giá và Khuyến Mãi chi tiết từ chủ đầu tư

                  Nhịp Đập Thi Công Bền Bỉ Tại Công Trường Vlasta Premier Quận 7

                  Sự hiện hữu kiêu hãnh của hai tòa tháp bên dòng sông Sài Gòn là minh chứng đanh thép nhất cho nội lực và uy tín của chủ đầu tư Văn Phú – Invest. Tại dự án Vlasta Premier, nhịp độ thi công luôn được duy trì ở mức khẩn trương nhờ sự phối hợp nhịp nhàng giữa tổng thầu Central Cons và đơn vị giám sát quốc tế Apave. Việc hoàn thành các cột mốc xây dựng quan trọng đúng tiến độ không chỉ khẳng định năng lực triển khai mạnh mẽ mà còn mang lại sự an tâm tuyệt đối cho khách hàng về một không gian sống đẳng cấp đang dần lộ diện tại trung tâm Quận 7.

                  Tiến độ xây dựng tháng 11/2025 dự án căn hộ chung cư Vlasta Premier Quận 7
                  Tiến độ xây dựng tháng 11/2025 dự án căn hộ chung cư Vlasta Premier Quận 7

                  Tiến Độ xây Dựng Căn Hộ Chung Cư Vlasta Premier Tháng 11/2025

                  Mỗi mét vuông tại Vlasta Premier Quận 7 đều trải qua quy trình kiểm tra khắt khe nhằm đảm bảo tính thẩm mỹ và độ bền kết cấu. Việc ứng dụng công nghệ xây dựng hiện đại cùng sự giám sát trực tiếp từ các chuyên gia hàng đầu giúp dự án đạt độ hoàn thiện tinh tế trong từng đường nét. Sự tận tâm của hàng trăm kỹ sư và công nhân tại cung đường ven sông Đào Trí chính là lời cam kết vững chắc nhất về một công trình biểu tượng sẽ trường tồn cùng thời gian.

                  Tiến độ xây dựng tháng 11/2025 dự án căn hộ chung cư Vlasta Premier Quận 7
                  Tiến độ xây dựng tháng 11/2025 dự án căn hộ chung cư Vlasta Premier Quận 7

                  Hotline hỗ trợ tư vấn bảng giá chi tiết và cập nhật tiến độ thực tế dự án: 0933.098.890

                    Nhận Báo Giá và Khuyến Mãi chi tiết từ chủ đầu tư

                    HỎI ĐÁP CHI TIẾT: NHỮNG ĐIỀU CẦN BIẾT VỀ VLASTA PREMIER

                    ⭐ Tọa độ dự án Vlasta Premier nằm ở đâu và khi nào cư dân có thể chính thức nhận bàn giao nhà?

                    • Địa chỉ thực tế: Dự án án ngữ tại mặt tiền đường Đào Trí, Phường Phú Thuận, Quận 7, TP.HCM. Đây là vị trí “vàng” ven sông Sài Sòn, liền kề các trục đường huyết mạch của khu Nam.
                    • Thời điểm bàn giao: Theo lộ trình triển khai từ đơn vị phát triển Văn Phú – Invest, dự án dự kiến sẽ hoàn thiện và trao tay cư dân vào Quý 4/2027.
                    • Hỗ trợ xem dự án: Quý khách hàng cần thông tin mua bán, ký gửi hoặc xem tiến độ thực tế, vui lòng liên hệ Hotline hỗ trợ: 0933.098.890.

                    ⭐ Cập nhật khung giá bán và tiềm năng khai thác cho thuê tại Vlasta Premier? Người mua có được ngân hàng hỗ trợ không?

                    Dựa trên khảo sát thị trường thực tế năm 2026, mức giá tham khảo dự kiến cho các loại hình căn hộ như sau:

                    • Loại 1 Phòng ngủ (48m² – 57m²): Giá đầu tư từ 4.5 tỷ – Giá thuê kỳ vọng từ 15 triệu/tháng.
                    • Loại 2 Phòng ngủ (64m² – 84m²): Giá đầu tư từ 6.0 tỷ – Giá thuê kỳ vọng từ 18-22 triệu/tháng.
                    • Loại 3 Phòng ngủ (93m² – 103m²): Giá đầu tư từ 8.8 tỷ – Giá thuê kỳ vọng từ 25-30 triệu/tháng.

                    Giải pháp tài chính: Khách hàng có thể tiếp cận gói vay lên đến 70% giá trị hợp đồng từ các ngân hàng đối tác. Chủ đầu tư dự kiến áp dụng chính sách ưu đãi lãi suất và ân hạn nợ gốc đặc quyền cho cư dân tương lai.

                    ⭐ Thông số quy mô, bảo chứng pháp lý và hệ thống tiện ích đặc quyền tại Vlasta Premier Quận 7?

                    • Tầm vóc dự án: Quy mô gồm 2 khối tháp kiến trúc hiện đại cao 35 tầng nổi và 2 tầng hầm đỗ xe rộng thoáng.
                    • Cơ cấu sản phẩm: Tổng cộng 602 căn hộ cao cấp cùng 136 căn thương mại dịch vụ (Officetel, Shophouse…).
                    • An tâm pháp lý: Dự án đã hoàn thiện trọn bộ Giấy phép xây dựng số 17/GPXD và quy hoạch 1/500, đảm bảo tính sở hữu minh bạch.
                    • Hình thức sở hữu: Sổ hồng riêng từng căn; lâu dài cho người Việt và 50 năm cho khách nước ngoài.
                    • Chuỗi tiện ích đa tầng: Hội tụ trọn vẹn tại khối đế 5 tầng với: Hồ bơi tràn bờ view sông, Gym & Spa chuyên sâu, nhà trẻ nội khu, vườn BBQ và sảnh đón tiếp thượng lưu.

                    ⭐ Địa chỉ khu nhà mẫu đặt tại đâu và tôi có thể tham quan vào khung giờ nào để trải nghiệm thực tế?

                    • Vị trí nhà mẫu: Khu trưng bày căn hộ mẫu được thiết kế sang trọng ngay sát vị trí dự án tại Quận 7, giúp quý khách hình dung rõ nét nhất về chất lượng bàn giao và view sông thực tế.
                    • Thời gian hoạt động: Mở cửa đón khách tham quan liên tục tất cả các ngày trong tuần (Dự kiến chính thức vận hành từ Quý 4/2025).
                    • Đăng ký xem nhà: Quý khách liên hệ số 0933.098.890 để được hỗ trợ chuyên sâu, có xe đưa đón và nhận trọn bộ tài liệu báo giá chi tiết.
                    Rate this post
                    Nhận Báo giá
                    zalo chat
                    0937 098 890